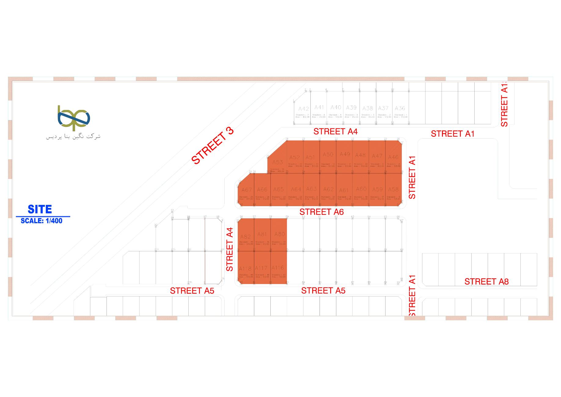
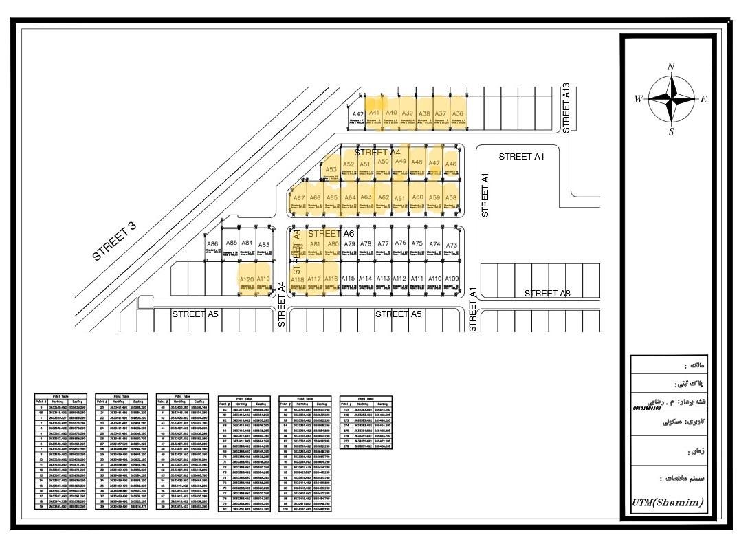
پروژه ی نیایش 2روند کاربه تعاونی دادگستری خوش امدیدتصویر پروژهمنبع عکس : آرشیو شرکتتاریخ عکس : 1403/12/جلسه در راستای پروژه نیایش.----اسناد پروژهپروژه جدید نیایشتصاویر پروژه پلان شهرک تصاویر پروژه برای اطلاع اعضا و مراجعه کنندگان سایت است پلان شهرک تصاویر پروژه برای اطلاع اعضا و مراجعه کنندگان سایت است نمای کلی محوطه شهرک تصاویر پروژه برای اطلاع اعضا و مراجعه کنندگان سایت است پلان شهرک تصاویر پروژه برای اطلاع اعضا و مراجعه کنندگان سایت است پلان شهرک تصاویر پروژه برای اطلاع اعضا و مراجعه کنندگان سایت است پلان شهرک تصاویر پروژه برای اطلاع اعضا و مراجعه کنندگان سایت است برگزاری جلسه مجمع عمومی تصاویر پروژه برای اطلاع اعضا و مراجعه کنندگان سایت است برگزاری جلسه مجمع عمومی تصاویر پروژه برای اطلاع اعضا و مراجعه کنندگان سایت است جلسه تصمیمگیری مجمع تصاویر پروژه برای اطلاع اعضا و مراجعه کنندگان سایت است پلان کلی منطقهتصاویر پروژه برای اطلاع اعضا و مراجعه کنندگان سایت استپلان شهرکتصاویر پروژه برای اطلاع اعضا و مراجعه کنندگان سایت استپلان شهرکتصاویر پروژه برای اطلاع اعضا و مراجعه کنندگان سایت استموقعیت جغرافیاییمشخصات فنی پروژه:تعداد اعضای مشارکت گننده(---)تعداد واحد(---)تعداد طبقات(---)زیر بنا(---)اعیانی(---)سال ساخت(---)نوع سازه(---)بروشور پروژه-----.پروژه نیایش .PDF